Sagynbaeva
Записаться на прием

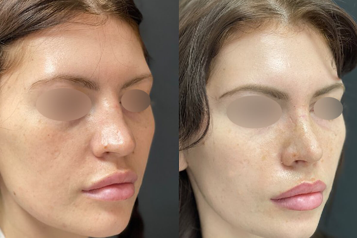
Ринопластика

Ринопластика

 

Ринопластика — операция по устранению внешних дефектов носа. Это одна из самых тонких пластических операций, потому что затрагивает не только эстетику и пропорции лица, но и влияет на способность человека дышать. Наряду с этим термином часто можно встретить другой — риносептопластика. Так называют пластические операции, корректирующие форму носа и положение перегородки; септопластика — операция по коррекции носовой перегородки без изменения формы носа.

Что такое ринопластика?

Нос состоит из мягких и твёрдых тканей — хрящей и костей. Твёрдые ткани составляют скелетный каркас: основание, носовую перегородку со спинкой носа, переносицу. Иногда в процессе ринопластики хирургам приходится ломать и менять положение костей таким образом, чтобы не нарушить сложные внутренние структуры носа, где расположены дыхательные ходы с кровеносными сосудами, сетью нервных окончаний и обонятельными рецепторами. Незначительная коррекция носа — тонкая работа, требующая деликатности. Современная пластическая хирургия предлагает малотравмирующие подходы: надрезы делаются внутри носа, где их никто не заметит.

Далеко не в каждом случае для ринопластики необходимо ломать нос. Иногда достаточно сместить перегородку в правильное положение, сделав надрезы изнутри; иногда врач работает только с мягкими тканями: меняет форму кончика носа или ноздрей.

Ринопластика
2025-09-07T21:10:41+00:00

Преимущества:
Контрольные
осмотры бесплатно
Бонусная
программа
для пациентов
Программы
реабилитации
после операций
Заботливый
и внимательный
персонал
Тандем
косметологии
и пластической
хирургии
Команда
профессионалов

Наши работы

Реабилитация пациентов

Зачем пациенту программа реабилитации?

Организм пациента после хирургического вмешательства нуждается в восстановлении.

После пластической операции пациент видит аккуратный шов, считая, что вся реабилитация состоит в своевременном его заживлении.

Однако за маленьким разрезом скрывается повреждение тканей и сосудов, целостность которых необходимо восстановить.

Для достижения успеха после проведения пластической операции, а также ускорения времени заживления и восстановления, мы рекомендуем пройти ПРОГРАММУ РЕАБИЛИТАЦИИ.

С заботой о пациенте мы предлагаем комплексную программу по специальной цене.

Специальная цена со СКИДКОЙ 50%

— Фотобиомодуляция Heleo4,
30 мин / 2 процедуры

— Ручной массаж любой зоны,
30 мин / 2 процедуры

— ICOONE LASER,
30 мин / 2 процедуры

— Микротоки,
20 мин / 2 процедуры

— Капельница молодости,
2 процедуры

49 000 С 24 500 С

Показания к ринопластике

Коррекция формы носа — одна из самых популярных пластических операций во всем мире. Чаще всего ринопластику делают по желанию, когда человека не устраивает, как выглядит го нос. Однако существуют и объективные показания. В этих случаях сделать ринопластику — лучший вариант.

  • — Врождённые патологии, например, искривлённая носовая перегородка.
  • — Травмы носа, включая полученные медицинским путём (например, после удаления новообразований).

Люди с искривлённой перегородкой часто вообще не замечают проблемы, и считают, что ринопластика (или риносептопластика) им не требуется, но при этом у них чаще других диагностируют нарушение дыхания, включая апноэ сна. Не все готовы решать проблему радикальным способом.

kruglik-s-v

Знакомство с врачом

доктор

Операция

ОТ 30 000 С

Консультация

От 2000 С
  • Прием врача
  • Расчет стоимости услуг
  • Ответы на вопросы
Ринопластика
Услуга
Цена
Цена по акции
Заказать услугу

Менеджер перезвонит Вам в ближайшее время.
Мы работаем без выходных с 10:00 до 21:00, в воскресенье до 20:00.

    Нажимая на кнопку «Отправить», вы соглашаетесь с Политикой конфиденциальности

    Вторичная ринопластика

    Sagynbaeva
    Оставить отзыв

    Ринопластика кончика носа

    Sagynbaeva
    Оставить отзыв

    Посттравматическая ринопластика

    Sagynbaeva
    Оставить отзыв

    Ринопластика

    Sagynbaeva
    5.0 7 отзывов
    Оставить отзыв
    Т
    Тамара
    Пациент

    Все началось с того, что у меня начались проблемы со здоровьем, а это оказалось из-за искривленной перегородки носа, я когда узнала об этом, сразу же начала искать пластического хирурга, и моя подруга, спасибо ей за это, узнав о моих поисках, посоветовала обратиться к Давиду Оганесовичу. Я посмотрела его страничку, его работы и поняла, что хочу именно к нему. Сильно понравились носы его пациентов. 😍 И конечно же, я записалась к доктору на консультацию, после осмотра назначили дату операции. Операцию делала два года назад, сказать, что довольна, ничего не сказать. Чудесный доктор, после операции я наконец поняла, что такое дышать, 🙏🏻 а про красоту носика вообще молчу, ☺️ очень красивый, натуральный и аккуратный носик получился. Однозначно советую. Спасибо, Давид Оганесович!

    Оценка
    (5)
    Е
    Евгения
    Пациент

    Неделю назад исполнила заветную мечту и сделала в Sagynbaeva вторичную ринопластику. Операция была очень сложная,из носа торчали хрящи, перегородка была искривлена, кончик носа был опущен вниз. Очень долго искала пластического хирурга с большим опытом и профессионализмом и нашла его здесь, Круглика Сергея Викторовича. Операция длилась достаточно долго, но результатом я очень довольна, у Сергея Викторовича золотые руки. Удивило насколько гармонично все получилось, были учтены пропорции моего лица. Боялась, что будет задействован реберный хрящ и реабилитация затянется, но и тут Сергей Викторович смог восстановить носик, используя всё, что осталось.
    Также выражаю благодарность всей команде клиники:анестезиологу, мед. персоналу, администраторам и менеджеру, которые всегда были на связи и подходили в послеоперационный период по первой просьбе.
    Sagynbaeva очень приятная клиника на высшем уровне,желаю Вам процветания и счастливых клиентов, как я.
    Сергей Викторович, Вам огромное спасибо за исполнение моей долгожданной мечты. 🙏🙏🙏 (отзыв с Яндекс сервиса)

    Оценка
    (5)
    Оставить отзыв
    Оценка:
    Нажимая на кнопку «Отправить», вы соглашаетесь с Политикой конфиденциальности

    Отправить сообщение

      Консультация Вас ни к чему не обязывает. Нажимая на кнопку "Задать вопрос", вы соглашаетесь с Политикой конфиденциальности.

      Записаться на приём

        Нажимая на кнопку «Отправить», вы соглашаетесь с Политикой конфиденциальности

        Отправить резюме

          Нажимая на кнопку «Отправить», вы соглашаетесь с Политикой конфиденциальности